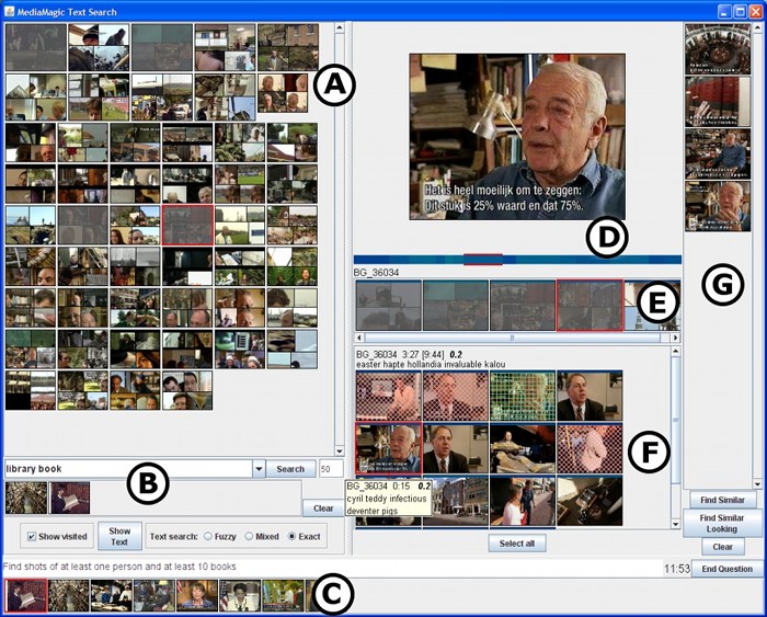
We have been exploring improved
interactions with video by
combining real time, client-side automatic content analysis with direct manipulation. We are
extending this work in the mixmeet system.
A current focus is building real-time search functionality in synchronous web meetings.
Relevant publications include
[DocEng 2015].




